志凌云TOPSKYS官方网站!主营显示器支架、工作台壁挂架、医用显示器推车等产品,点击直达店铺:

淘宝企业店京东自营店。关注“TOPSKYS显示器支架”公众号,了解更多活动案例介绍。

400-898-6657 18500795058
首页

产品中心

医用设备

商务推车

显示器支架

平板支架

电视支架

投影支架

LCD 连杆支架

支架配件

案例展示

电视支架

投影支架

显示器支架

医用、移动车

视频管理

定制服务

新闻资讯

公司新闻

行业动态

企业资质

商标注册

检测报告

专利证书

关于我们

联系我们

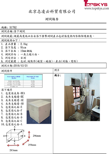
首页> 企业资质> 检测报告

京ICP备15022611号-1

服务热线

400-898-6657

微信公众号